Vacant Land in Ulster County
| MLS Number | 931552 |
|---|---|
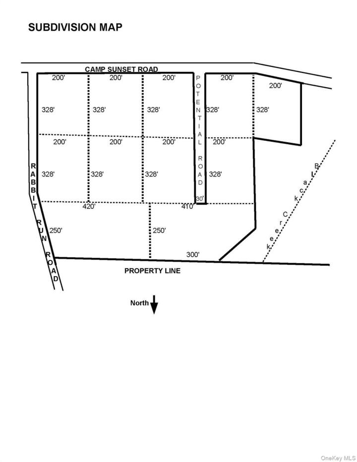
| Address | Lot #4 Camp Sunset and Rabbit Run Road, Plattekill, NY 12568 show map |
| Price | $290,000 show mortgage calculator |
| Acres | 23.379981634527 |
| Elementary School | Plattekill Elementary School |
| Jr High-Middle School | John G Borden Middle School |
| High School | Wallkill Senior High School |
| Land Use Permitted | |
| Use / Zoning | |
| Zoning | |
| Utilities Inc. |
This 23.3 acre subdividable parcel has just obtained final subdivision approval and documents have been filed.This wooded lot runs along Rabbit Run and Camp Sunset, and lends itself to multiple subdivided lots or build your dream home! Plenty of road frontage so no road needed. All lots will have driveways with road access. The area is quiet and located within walking distance to a beautiful lake view and relaxing evening strolls. The adjacemt 80+ acre parcel has been donated by humanitarian neighbors, to the town for a nature preserve to be forever green and for the enjoyment of area residents. One reason why the Hudson River Valley real estate market is so strong, is that people want OUT of NYC and the Hudson River Valley gives them the best blend of afforadability, access and lifestyle. Demand is steady, prices are firm and the drivers aren't going anywhere! Limited supply and strict zoning equal long term price pressure due to limited buildable land. This hard limits new supply, which protectes area values. This area offers scenery and culture, attracting buyers priced out of Westchester and southern Dutchess counties. The region is in a long-term demographic sweet spot, and no other region near NYC hits this mix of beauty and convenience.
© 2022 OneKey Multiple Listing Service, Inc., All Rights Reserved. The data relating to real estate for sale or lease on this website comes in part from OneKey MLS. Real estate listings held by brokerage firms other then CS Realty Relocation Services are marked with a OneKey MLS Logo. The information appearing herein has not been verified by the OneKey Multiple Listing Service, Inc. or by the Hudson Gateway Association of Realtors, Inc. or by any individual(s) who may be affiliated with said entities, all of whom hereby collectively and severally disclaim any and all responsibility for the accuracy of the information appearing at this web site, at any time or from time to time. All such information should be independently verified by the recipient of such data. This data is not warranted for any purpose.


