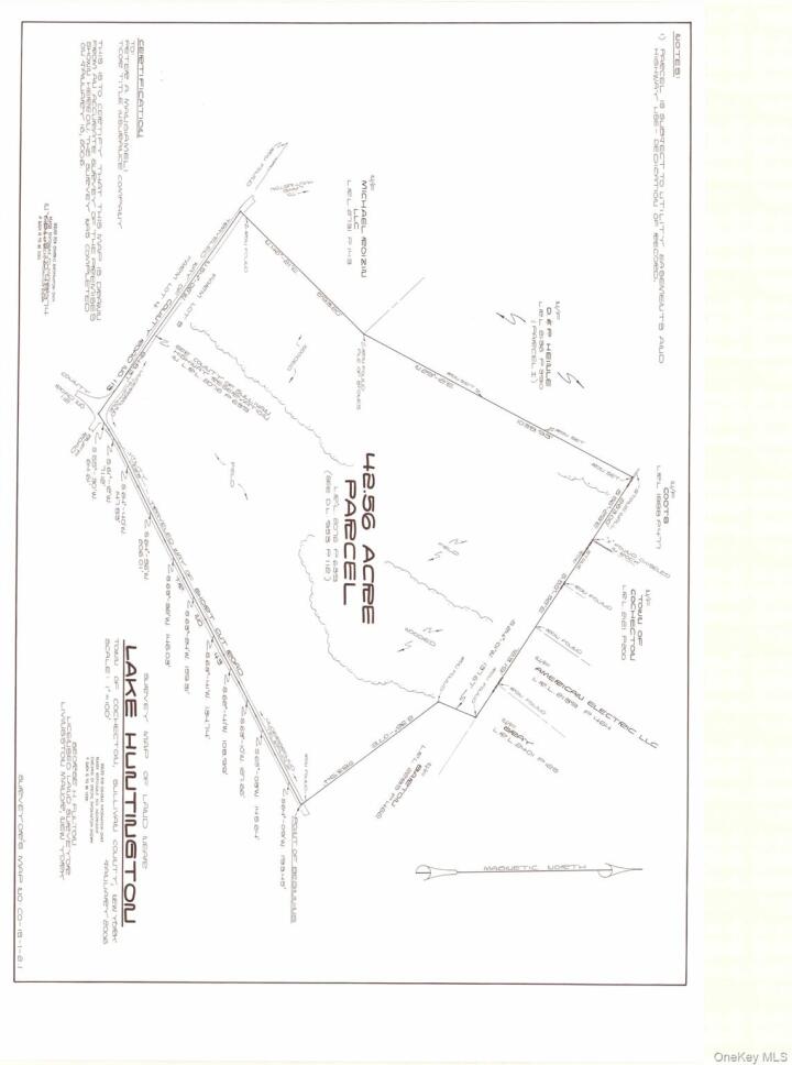
Vacant Land in Sullivan County
| MLS Number | 919775 |
|---|---|
| Address | NY-52&Shortcut Rd akaT R 43, Cochecton, NY 12726 show map |
| Price | $750,000 show mortgage calculator |
| Acres | 46 |
| Elementary School | Sullivan West Elementary |
| Jr High-Middle School | SULLIVAN WEST HIGH SCHOOL AT LAKE HUNTINGTON |
| High School | Sullivan West High School At Lake Huntington |
| Land Use Permitted | |
| Use / Zoning | |
| Zoning | |
| Utilities Inc. | None |
Beautiful 42± acres of opportunity await! This rare corner parcel offers over 2,000 feet of road frontage, making it ideal for a private estate, horse or gentleman’s farm, or possible subdivision for future development. A mix of open rolling meadows and mature woodlands provides scenic views, gentle terrain, and endless flexibility for building or farming. Enjoy peaceful country living while staying close to all the region’s highlights—Lake Huntington for boating and fishing, world-class entertainment at Bethel Woods, and the charming Delaware River towns of Narrowsburg, Cochecton, and Callicoon with their shops, dining, and art scenes. Spectrum internet available. Bring your vision and build your Catskills dream. ________________________________________
© 2022 OneKey Multiple Listing Service, Inc., All Rights Reserved. The data relating to real estate for sale or lease on this website comes in part from OneKey MLS. Real estate listings held by brokerage firms other then CS Realty Relocation Services are marked with a OneKey MLS Logo. The information appearing herein has not been verified by the OneKey Multiple Listing Service, Inc. or by the Hudson Gateway Association of Realtors, Inc. or by any individual(s) who may be affiliated with said entities, all of whom hereby collectively and severally disclaim any and all responsibility for the accuracy of the information appearing at this web site, at any time or from time to time. All such information should be independently verified by the recipient of such data. This data is not warranted for any purpose.


